News
The Latest Hurricane Florence Predictions Spell Bad News For The East Coast

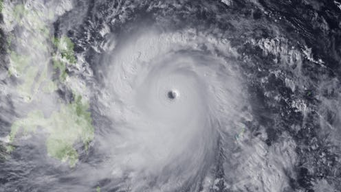
As multiple serious hurricanes rocked the Caribbean and the Gulf Coast during the 2017 hurricane season, the Southeast and the mid-Atlantic regions found themselves largely spared from the most catastrophic weather. The latest Hurricane Florence predictions, however, say that this storm could bring historic levels of rainfall and significant damage to that exact area, in the first major storm of the 2018 season.
States of emergency have been declared in North and South Carolina and in Virginia in preparation for the storm, Accuweather writes, and it doesn't look like those state governments are overreacting. According to CNN, Florence could be the most powerful storm to hit the Carolinas in 30 years. It's projected to make landfall on Thursday night or Friday morning, and CNN writes that it could be as strong as a Category 4 storm at that point.
"There is an increasing risk of life-threatening impacts from Florence," the National Hurricane Center (NHC) wrote in a Monday morning update, and then they enumerated those potential impacts: "Storm surge at the coast, freshwater flooding from a prolonged and exceptionally heavy rainfall event inland, and damaging hurricane-force winds."
Florence, the NHC wrote, will be moving through favorable conditions as the week goes on, and therefore strengthening as it moves toward the East Coast.
While the NHC wrote that "it is too soon to determine the exact timing, location, and magnitude of [Florence's] impacts," The Washington Post wrote that the hurricane's current trajectory makes it look like a worst-case scenario is almost inevitable. The chances are getting slimmer and slimmer that storm will curve east and avoid making landfall entirely, and it's looking more and more likely that, instead, Florence will hit the Carolina coastline and then stall, The Post wrote.
If that were the case, then Florence's effects in North and South Carolina could mirror Hurricane Harvey's effects on Houston in 2017. As NBC 5 explained, Harvey hit Texas as a Category 4 storm, but the real flooding damage came when it just sat over the area, dumping much more water than could quickly drain away. The Post emphasized that current predictions have Florence making landfall as at least a Category 3 storm — and that if that happens, it will be only the 10th "major hurricane" to directly hit the East Coast since 1851.
So far, the areas in question are taking the storm's potential very seriously. The waters off the East Coast are already getting rough, and The Washington Post reported that many authorities are already urging people to evacuate before the storms effects begin in the middle of the week.
“Everyone in North Carolina needs to keep a close eye on Florence and take steps to get ready for impacts later this week,” said North Carolina Gov. Roy Cooper in a statement, according to The Post. “I urge the public to review your emergency plans and gather your supplies now.”
South Carolina Gov. Henry McMaster was even more direct in a warning that he gave during a press conference on Sunday, The Post wrote.
"Make your plans now. You have to get your medicines ready to go, if you have prescriptions you need to get filled.... Make sure you lock things up because you may not be coming home for several days,” Gov. McMaster said. “Pretend, presume and assume that a major hurricane is going to hit smack dab in the middle of South Carolina.”